Pasar al contenido principal
Visitante
Iniciar sesión
CERRAR
Actualidad
Campo Colombiano
Ciencia
Deportes
Economía
Educación
Emprendimiento
Judicial
Medio ambiente
Mundo
Paz
Personajes
Política
Salud
Tecnología
Cultura
Arte
Cine
Ferias y fiestas
Gastronomía
Historia Colombiana
Literatura
Teatro
Tradiciones
Turismo
Mi país
Amazonía
Andina
Caribe
Insular
Orinoquía
Pacífico
Especiales Multimedia
Especiales
Música
PODCASTS
Videos
Sonó Aquí
Mujeres Buscadoras
Frecuencias
EN VIVO
ESCUCHAR EN VIVO
Ideam
Mi país
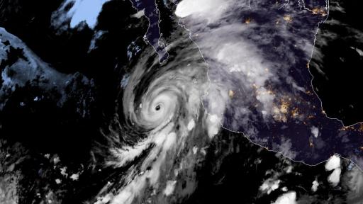
Alerta roja en el mar Caribe por posible formación de ciclón tropical
Miércoles, Junio 29, 2022 - 09:56
Mi país
Autoridades piden tomar medidas preventivas frente a onda tropical en el Caribe
Miércoles, Junio 29, 2022 - 08:02
Mi país
Temporada de huracanes en el mar Caribe: ¿cómo afecta a San Andrés?
Martes, Junio 28, 2022 - 13:30
Mi país
Inundaciones en subregión de La Mojana podrían incrementar en Julio: Ideam
Jueves, Junio 23, 2022 - 11:33
Mi país
San Andrés está en alerta ante fuertes lluvias por posible depresión tropical
Martes, Junio 14, 2022 - 11:07
Medio ambiente
Deforestación en la Amazonía se redujo en un 34 % en lo que va de 2021: Ideam
Martes, Octubre 26, 2021 - 13:07
Medio ambiente
En junio inicia la temporada de huracanes en Colombia
Viernes, Mayo 21, 2021 - 10:51
Primera página
Primera
Página anterior
Anterior
Página
1
Página
2
Página
3
Página actual
4